CH. Tibie-rose Des Rêves De Cookie
femelle
Boxer
née le
16/10/2022

Informations sur CH. Tibie-rose Des Rêves De Cookie
| Sexe | Femelle |
| Couleur | Fauve masque noir marquer de blanc |
| Tatouage | 250269591213573 |
| Inscrit au LOF ? | LOF |
| N° origine | 162157 |
| Cotation | 3 - Sélectionné |
| Adn | ADNC |
| Tares |
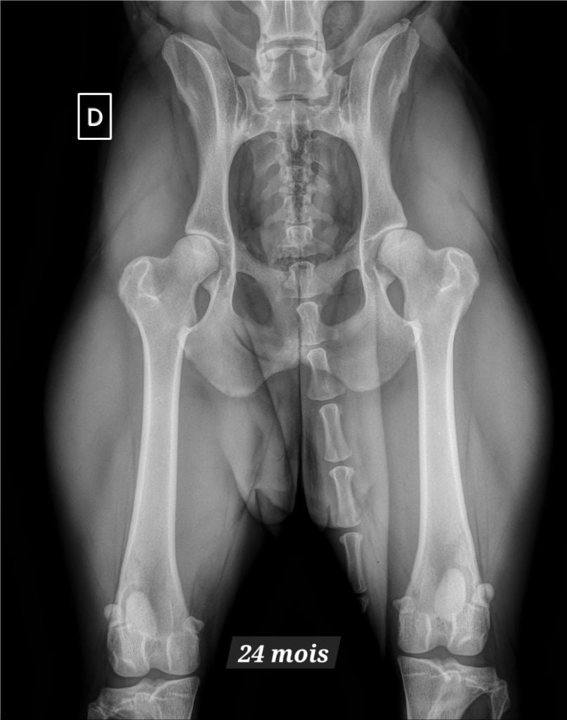
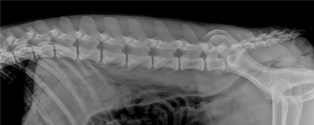
Adn : ADNC Dysplasie des hanches, lecteur français : BC Dysplasie lecteur espagnol : A Indemne de dysplasie renale par échographie : Rdo Indemne de sténoses : Aso pso Spondylose : 0 |
Les parents
Palmares dtitrese CH. Tibie-rose Des Rêves De Cookie
Championne national de beauté jeune
Championne des expositions suisse
Championne du Luxembourg
Autres titres
Mars 2023.TRES PROMETTEUR
CACS Angers juge Joao Vasco Pocas
CACIB Angers TRES PROMETTEUR MEILLEUR BAby
Juge Juan Naveda Carrero
TRES PROMETTEUR MEILLEUR PUPPY
CACS Saint Brieuc 2023
Juge Rui Oliveira
TRES PROMETTEUR MEILLEUR PUPPY
CaCIB Saint Brieuc
Juge Christiane Lafay
4 eme tres prometteur
CPFF RE forges les eaux 2023
Juge mr Humbert
TRES PROMETTEUR MEILLEUR puppy
CACS Chateaubriant
Juge Einar Paulsen
TRES PROMETTEUR MEILLEUR PUPPY
CACS Maltot
Juge Violaine Pressiat
1 er excellent CJuniorFF
RE thionville
Juge mdme Pinet
Nationale d'élevage 2023 Genech excellent CJFF Juge angelika hartman
Angers 28/10/2023 Juge cathy sinsout
Csau et ape valider
Cacs le Mans 2022 Juge Salvador gianone 1 er excellent meilleur jeune cacsjm
2/12/2023 Cacs rouen Juge Mdme Pressiat 1er EXCELLENT CACS-J
3/12/2023 cacib Juge mdme tompousky 1er EXCELLENT CACIB-J
Meilleur jeune
9/12/2023 cacs Nantes Juge:JOUANCHICOT Christian. 1er EXCELLENT CACS-J
Meilleur de sexe opposé Meilleur jeune
11/05/2024 Cacs st brieux cacs et meilleur sexe opposé
1/06/2024 Montlucon spéciale de race 1 er excellent cacs cacib
2/06/2024 championnat de france 1er rcacs
7/07/2024 RE st cheron 2 eme excellent
14/07/2024 cacs maltot meilleur de race et cacs
Dog show geneva 2024
Juge Mr Natividad 1exc best female
Juge Mr Nichols 1exc CAC CACIB BOB
Juge Mme Klucniece 1exc CAC CACIB BOB
Juge Mr Buratti 1exc CAC CACIB BOS
Swiss Show Champion
Alpin Winner
Qualifié cruft.
1/12/2024 château gontier classe Champion meilleure de race


