Phara Des Rêves De Cookie
femelle
Boxer
née le
22/03/2020

Informations sur Phara Des Rêves De Cookie
| Sexe | Femelle |
| Couleur | fauve marquer blanc |
| Puce | 250269811648111 |
| Inscrit au LOF ? | LOF |
| N° origine | 155171/26652 |
| Cotation | 1 - Confirmé |
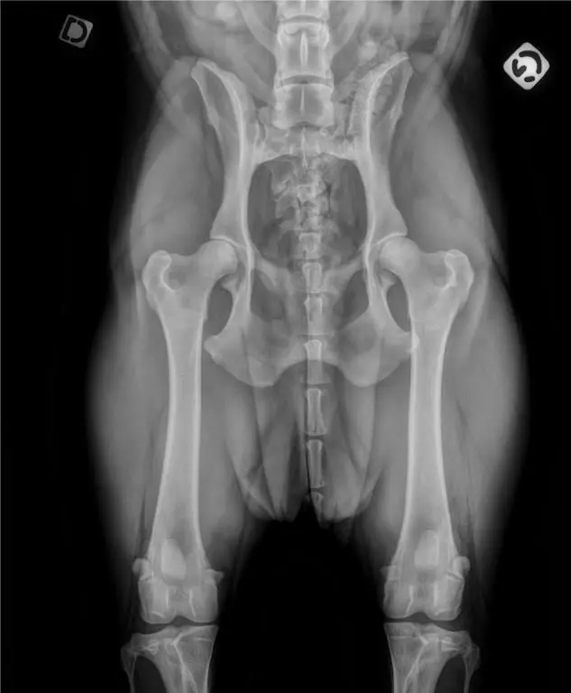
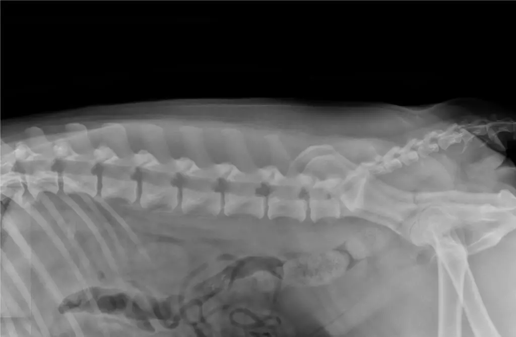
| Tares |
Dysplasie : B cardiopathie : Aso-Pso |
Les parents
Palmares de Phara Des Rêves De Cookie
9/05/2022 CACS St Brieux juge : Mdme Christianne lafay
EXCELLENT non classé

